Auf der Zentralen Stutbucheintrag am 19. Mai 2018 im Pferdezentrum in Alsfeld kamen sechs Welsh zur Vorstellung, davon vier Dreijährige.
Eingetragen wurden die beiden älteren Stuten Ivington Sandy Lasse, Welsh A, Schi., geb. 2007, v. Criccieth Dandy a.d. Ivington Sandy v. Snowdon Solar, Z.: GB, Bes.: Tina Andrew, Schriesheim sowie Frequency vom Alten Grenzhof, Welsh D, Pal., geb. 2004, v. Reifenstein vom Alten Grenzhof (D) a.d. Fanni (B) v. Ergano, Z.: Fam. Keil, Bad Zwesten-Wenzigerode, Bes.: Ramona Beyer, Kelkheim.
Alle vier Dreijährigen Welsh-Stuten erhielten eine Prämie (Wertnote über 7,5). Angeführt wurden sie von Waldklees Fanta, Welsh B, Pal., v. Spring Star´s Spirit a.d. Lentebloem´s Fantasy v. Wolling´s Dante, Z.: Anna-Lena Klee, Ottersberg, Bes.: Fam. Hoffarth, Lohra, WN 7,9.
An 2. Stelle stand Moonrose Whitney, Welsh A, dkl.br., v. Plasderw Pipper a.d. Gydros Wispa v. Tiffwyl Talysman, Z.u.Bes.: Susanne u. Volker Rosenkranz, Weilmünster, WN 7,7.
An 3. Stelle, ebenfalls mit der WN 7,7 kam Hazel Joy (Welsh D), braun, v. Chery Jamiro a.d. Hazel Billy Jean v. Unicorn Brenin, Z.u.Bes. Pia Doernfeld, Ebsdorfergrund.
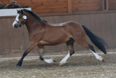
Melthes Sintje, Welsh A, braun, v. Springfire´s Orophino a.d. Meladelle´s Sunny v. Idyllic Tarantino, Z.: ZG Keßler, Marburg-Moischt, Bes.: Cordula Kreger, Schauenburg, belegte mit der WN 7,6 den 4. Platz.
Text und Fotos: F. Rosenthal
Für eine größere Ansicht klicken Sie bitte auf eines der Bilder.











